Bouwgrond
€ 174 000
BEGIJNENDIJK
0
0
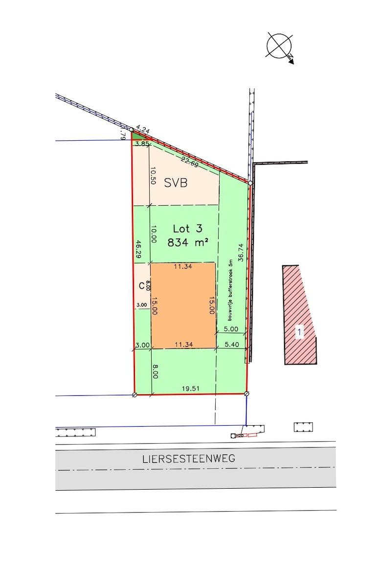
834 m²
Een perceel bouwgrond voor open bebouwing en gelegen op 8a 34ca met een straatbreedte van 19,51m. Het perceel is gelegen in woongebied met landelijk karakter, en achteraan in agrarisch gebied.
Deze bouwgrond is gelegen in een recente goedgekeurde verkaveling (van 3 loten).
Algemeen
- Type bouwgrond
- Bebouwing open
- Perceeloppervlakte 834 m2
- Perceelbreedte 19,51 m
- Oriëntatie ZW
Stedenbouwkundige inlichtingen
- Stedenbouwkundige vergunning neen
- Stedenbouwkundige bestemming woongebied met landelijk karakter + agrarisch gebied
- Dagvaarding geen
- Voorkooprecht geen
- Verkavelingsvergunning ja
- Overstromingsgevoelig gebied neen
- P-score A
Financieel
- Vraagprijs 174 000 €
Documenten / plannen
- INPLANTINGSPLAN bekijk doc
- VERKAVELINGSVOORSCHRIFTEN bekijk doc
- VERKAVELINGSPLAN bekijk doc
Doe een bod
Met Smartbid bied je op een transparante en gebruiksvriendelijke manier op vastgoed. Tijdens het biedingsproces volg je eenvoudig de stappen online en behoud je op elk moment het overzicht. Ontdek hier hoe bieden via Smartbid precies werkt.



