Bouwgrond
€ 295 000
RIJKEVORSEL
0
0
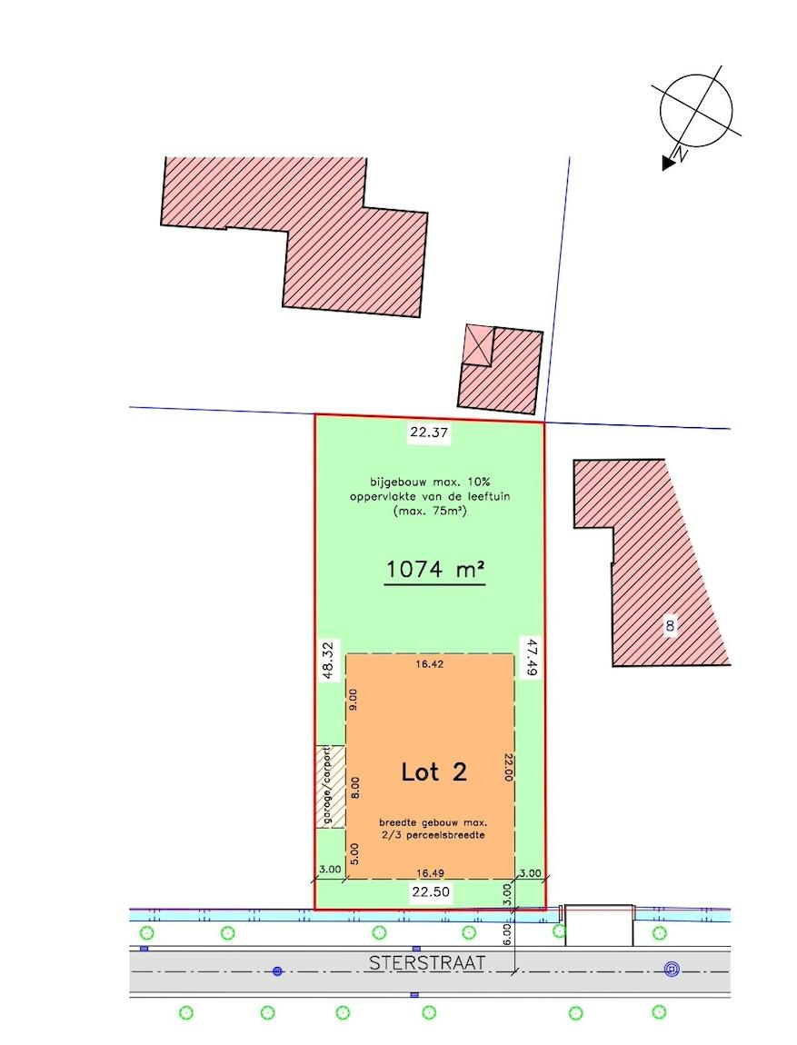
1074 m²
Een perceel bouwgrond voor open bebouwing en gelegen in een groene residentiële omgeving op 10a 74ca met een straatbreedte van 22,50m.
Deze villagrond is gelegen in een goedgekeurde bijgestelde verkaveling.
Algemeen
- Type bouwgrond
- Bebouwing open
- Perceeloppervlakte 1074 m2
- Perceelbreedte 22,50 m
- Oriëntatie ZO
Stedenbouwkundige inlichtingen
- Stedenbouwkundige vergunning neen
- Stedenbouwkundige bestemming woongebied
- RUP - woonomgevingen woonlinten en landelijke woonentiteiten - woonbos
- Dagvaarding geen
- Voorkooprecht geen
- Verkavelingsvergunning ja
- Overstromingsgevoelig gebied neen
- P-score A
Financieel
- Vraagprijs 295 000 €
Documenten / plannen
- INPLANTINGSPLAN bekijk doc
- RUP WOONOMGEVINGEN bekijk doc
- OMGEVINGSVERGUNNING bekijk doc
- STEDENBOUWKUNDIGE VOORSCHRIFTEN (art. 6.4) bekijk doc
Doe een bod
Informatie
Naast de widget voorzien we ruimte voor een begeleidende tekst. We adviseren om hier kort toe te lichten hoe Smartbid werkt, zodat bezoekers met vertrouwen aan het biedingsproces beginnen.



